
*** RESERVIERT *** Großes Baugrundstück in Kleve-Oberstadt
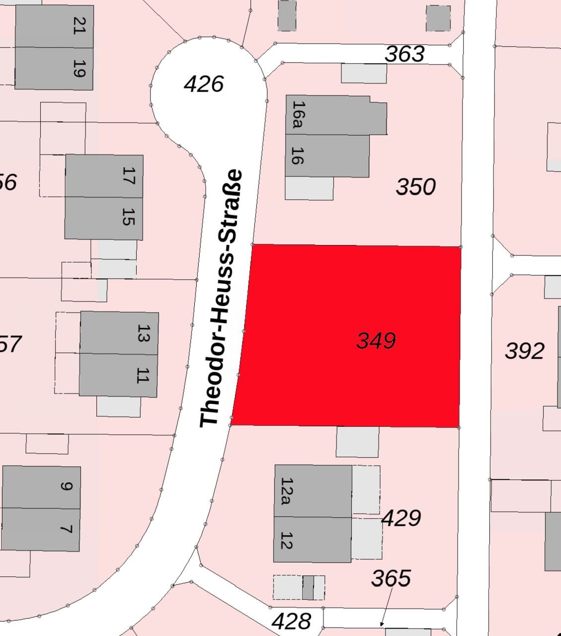
In gewachsener und angenehm ruhiger Umgebung präsentiert sich dieses großzügige Baugrundstück mit einer Fläche von ca. 935 m². Das Grundstück befindet sich in einem reinen Wohngebiet und bietet ideale Voraussetzungen für die Verwirklichung Ihres persönlichen Wohntraums.
Die Bebauung ist gemäß Bebauungsplan mit einem Vollgeschoss vorgesehen. Zulässig sind sowohl Einzel- als auch Doppelhäuser in offener Bauweise. Mit einer Grundflächenzahl (GRZ) von 0,3 eröffnen sich attraktive Gestaltungsmöglichkeiten bei gleichzeitig harmonischer Einbindung in die bestehende Nachbarschaft.
Die offene Bauweise sorgt für eine aufgelockerte Bebauungsstruktur mit ausreichend Abstand zu den Nachbargebäuden – ideal für alle, die Wert auf Privatsphäre und ein angenehmes Wohnumfeld legen. Die Grundstücksgröße bietet darüber hinaus genügend Raum für Gartenflächen, Terrassenbereiche oder individuelle Außenanlagen.
Ein Grundstück mit klaren baurechtlichen Vorgaben, das Planungssicherheit schafft und gleichzeitig Spielraum für architektonische Individualität lässt – ob klassisches Einfamilienhaus oder moderne Doppelhaushälfte.
Die Klever Oberstadt zeichnet sich durch ihre charmante Atmosphäre aus und bietet eine optimale Anbindung an die umliegenden Infrastrukturen. Einkaufsmöglichkeiten, Schulen und öffentliche Verkehrsmittel sind bequem zu Fuß erreichbar, während Sie die Ruhe des Wohnviertels genießen können.
Die Stadt Kleve liegt am unteren Niederrhein an der deutsch-niederländischen Grenze und ist eine mittlere kreisangehörige Stadt des Kreises Kleve im Regierungsbezirk Düsseldorf. Der ”Niederrhein-Airport” ist mit dem Auto in 30-minütiger Fahrzeit erreichbar. Alle benötigten Einkaufsmöglichkeiten, Verkehrsanbindungen sowie Ärzte, Apotheken, Kindergärten, Schulen befinden sich in unweiter Entfernung.
Zum Kreis Kleve:
Der Kreis Kleve liegt im Nordwesten Deutschlands an der Landesgrenze zu den Niederlanden. In einem Umkreis von 2 Autostunden leben mehr als 30 Millionen Menschen. Drei Bundesautobahnen, der Rhein-Waal-Terminal in Emmerich, der Anschluss an die EC-Strecke Köln-Amsterdam verbinden den Kreis Kleve mit den internationalen Absatz- und Beschaffungsmärkten. Im Norden grenzt sie an die Gemeinde Millingen a/d Rijn und die Stadt Emmerich am Rhein, im Osten an die Stadt Kalkar, im Süden an die Gemeinde Bedburg-Hau und im Westen an die Gemeinde Kranenburg. Gute Verkehrsanbindungen über die A57(Köln/Nijmegen) und die A3 (Oberhausen/Arnheim).
Interesse am Objekt?
Hier Kontakt aufnehmen
Arden Immobilien
Ringstraße 46
47533 Kleve
T: 0 28 21 - 97 33 70
E: info@arden-immobilien.de
Interesse am Objekt?
Hier Kontakt aufnehmen
Arden Immobilien
Ringstraße 46
47533 Kleve
T: 0 28 21 - 97 33 70
E: info@arden-immobilien.de


